
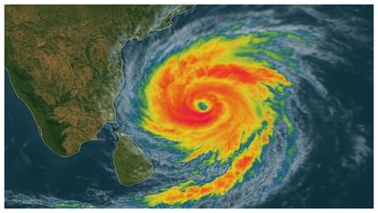
चक्रवात मोंथा कमजोर पड़ने के बावजूद पूर्वी भारत में भारी तबाही मचा रहा है। आंध्र प्रदेश, तेलंगाना और ओडिशा सबसे अधिक प्रभावित हैं जहां मौतें, फसल बर्बादी और बुनियादी ढांचे को लाखों-करोड़ों का नुकसान हुआ है।
आंध्र में दो मौतें हो चुकी हैं, 87,000 हेक्टेयर फसल नष्ट हो गई और प्रारंभिक अनुमान के मुताबिक 5,265 करोड़ रुपये का नुकसान हुआ है। तेलंगाना के वारंगल और हनमकोंडा में भारी बारिश से 2,000 लोग राहत शिविरों में शिफ्ट किए गए हैं। सूर्यापेट में पेड़ गिरने से बाइक सवार की मौत हुई जबकि खम्मम में एक ट्रक ड्राइवर बह गया। ओडिशा में भी भारी बारिश और तेज हवाओं से फसलें बर्बाद हुईं। चक्रवात 28 अक्टूबर को आंध्र के काकीनाडा के पास लैंडफॉल के बाद उत्तर-पश्चिम दिशा में बढ़ा और अब साइक्लोनिक स्टॉर्म बनकर कमजोर हो गया है।
उत्तर भारत में भी मोंथा का असर दिख रहा है। मध्य प्रदेश के कई जिलों में हल्की से मध्यम बारिश हुई जबकि भोपाल, इंदौर-उज्जैन में तेज हवाएं चलीं। राजस्थान के जयपुर, अलवर, करौली में बृहस्पतिवार सुबह बूंदाबांदी से तापमान गिर गया और ग्रामीण इलाकों में धुंध छा गई। बीसलपुर बांध का दूसरा गेट खोल दिया गया जिससे बनास नदी में 24,040 क्यूसेक पानी छोड़ा जा रहा है। प्रदेश के 13 जिलों में यलो अलर्ट जारी है।
उत्तर प्रदेश के पूर्वांचल में अयोध्या, लखनऊ-कानपुर समेत 15 शहरों में रुक-रुककर बारिश हुई जिससे काशी में जलभराव हो गया। मौसम विभाग ने 31 जिलों में गरज-चमक के साथ बारिश का अलर्ट जारी किया है जो 1 नवंबर तक रहेगा। बेमौसम बारिश से धान-आलू की फसलें खराब होने का खतरा है। बिहार के 25 जिलों में यलो अलर्ट है और पटना, औरंगाबाद, बक्सर, भागलपुर में सुबह बारिश हुई। बादल छाए रहने से तापमान 25 डिग्री सेल्सियस तक गिर सकता है। अगले तीन दिनों तक हल्की-मध्यम बारिश जारी रहेगी।
नेपाल में मोंथा के असर से लगातार बारिश-बर्फबारी हो रही है। नेपाली मौसम विभाग ने 26 जिलों में बाढ़-भूस्खलन का अलर्ट जारी किया है। कोशी, मधेश और बागमती प्रांतों की नदियों में जलस्तर तेजी से बढ़ सकता है। विभाग ने लोगों से सतर्क रहने और नदी किनारे के इलाकों से दूर रहने की अपील की है।
आंध्र प्रदेश में बिजली बहाली के लिए 11,000 कर्मचारी तैनात हैं। मुख्य सचिव के. विजयानंद ने कहा कि बृहस्पतिवार तक 100% बिजली आपूर्ति बहाल हो जाएगी। चक्रवात के दौरान 9 (220 केवी), 4 (400 केवी) और 11 (132 केवी) सबस्टेशन प्रभावित हुए थे जिन्हें ठीक कर लिया गया। मुख्यमंत्री एन. चंद्रबाबू नायडू ने बापतला जिले के एक चर्च में फंसे 15 लोगों को रस्सी से बचाने का वीडियो साझा कर बचावकर्मियों की तारीफ की।
नुकसान का ब्यौरा देते हुए नायडू ने कहा कि सड़क-भवन को 2,079 करोड़, कृषि को 829 करोड़, मत्स्य पालन को 1,270 करोड़ का नुकसान हुआ। सबसे प्रभावित जिले नेल्लोर, बापतला और प्रकाशम हैं। कोनसीमा जिले के अंतरवेदी गांव के पास लैंडफॉल हुआ। प्रमुख जलाशय 90% भर चुके हैं जिनमें 98.5 टीएमसी पानी संग्रहीत है।
तेलंगाना में भारी बारिश से वारंगल-हनमकोंडा-काजपेट त्रिशहर क्षेत्र प्रभावित हुआ। मुख्यमंत्री ए. रेवंत रेड्डी ने राहत कार्य तेज करने के आदेश दिए और एसडीआरएफ टीमों व नौकाओं को तैनात किया। पश्चिम बंगाल, झारखंड, छत्तीसगढ़ में भी भारी बारिश का अलर्ट है। अरब सागर के पूर्व-मध्य भाग में एक नया निम्न दबाव सक्रिय है जो अगले 36 घंटों तक पश्चिम की ओर बढ़ेगा।
 
 




